조황관리HOME / 조황관리 / 상세정보

제목 : 5일 조황입니다^^
등록일 : 2020-01-05















































































TimePhoto_20200105_100735.jpg


TimePhoto_20200105_082249.jpg


TimePhoto_20200105_100720.jpg


TimePhoto_20200105_095709.jpg

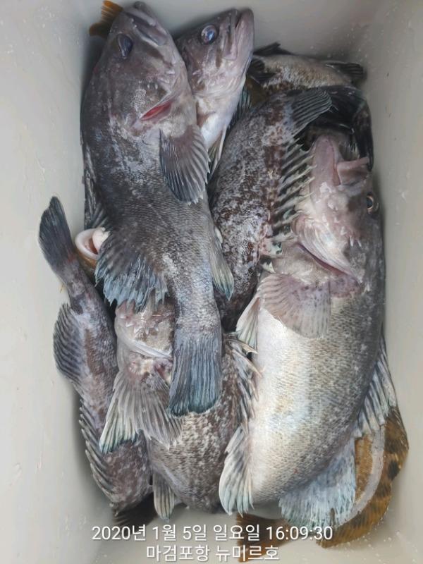
오늘은 마릿수는 좋았는데 사이즈가 마음에 안드네요.
방생두 50여수는 한거 같구 다음출조는 먼바다로 출항합니다.^^
TimePhoto_20200105_161322.jpg


TimePhoto_20200105_161245.jpg


TimePhoto_20200105_151714.jpg


TimePhoto_20200105_151705.jpg


TimePhoto_20200105_151730.jpg


TimePhoto_20200105_160749.jpg


TimePhoto_20200105_160336.jpg


TimePhoto_20200105_161000.jpg


TimePhoto_20200105_160929.jpg


TimePhoto_20200105_161123.jpg


TimePhoto_20200105_161102.jpg


TimePhoto_20200105_151644.jpg


TimePhoto_20200105_110213.jpg


TimePhoto_20200105_151638.jpg
7분 조황입니다.^^
가시는길 조심히 가시구 건강관리 잘하세요^^

TimePhoto_20200105_113423.jpg


TimePhoto_20200105_132308.jpg


TimePhoto_20200105_132255.jpg


TimePhoto_20200105_132408.jpg


TimePhoto_20200105_132411.jpg


TimePhoto_20200105_151634.jpg


TimePhoto_20200105_133418.jpg


====== 마검포 미르호 예약안내 =======

태안 최고의 포인트로 안내합니다.

■ 휴대전화 : 010-9387-9997
■ 홈페이지 바로가기 : http://gukbo.sunsang24.com

■ 오시는길 : 충남 태안군 남면 신온리 마검포항

■ 계좌안내 : 수협 / 0010-9387-9997 / 한국보
Top